Паспортна інформація
Могила М.О. Волошина
Пам’ятка історії
Серпень 1932 р.
Розміщення:
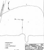
Автономна Республіка Крим, Судацький р-н, смт Коктебель, в 2 км на північ від селища на вершині гори Кучук-Єнишари.
Загальний опис:
Могила М.О. Волошина знаходиться на вершині гори Кучук-Єнишари, що разом з мисом Хамелеон закриває Коктебельську бухту зі сходу і розташована напроти відрогів Кара-Дагу. До підніжжя гори, повз колишню дачі Юнге (нині один з корпусів піонерського табору “Супутник”) проходить дорога, що потім повертає на схід до мису Хамелеон. Від підніжжя нагору веде стежка до самої могили. На могилі лежить прямокутна меморіальна плита з червоно-чорного граніту товщиною 0,25 м з написом: “Поэт Максимилиан Волошин, 1877-1932”. Розміри плити – 1,0×2,05 м. Плита лежить на бетонній основі, обкладеній діоритовими брилами. Розміри основи – 3,0×4,3 м. Могилу оточує невисокий насип з морської гальки (6,5×9,3 м).
Історична довідка, відомості про дослідження:
Максиміліан Олександрович Волошин (1877-1932) помер 14 серпня 1932 р. і, відповідно до його заповіту, похований на вершині гори Кучук-Єнишари. З вершини відкривається вигляд на найближчі околиці й моря-місця, до яких Волошин був прив’язаний і не раз оспівував у своїх віршах та на своїх полотнинах.
М.О. Волошин відомий як поет і художник. Його вірші до Жовтневої революції друкувалися в журналі “Аполлон”, виходили окремими збірниками. У радянський час його вірші неодноразово видавалися в збірниках “День поезії” й інших виданнях.
М.О. Волошин – автор багатьох акварелей, темпер, створених під враженням природи Іспанії, інших місць, а також східного берега Криму й особливо околиць селища Коктебель. Пейзажі М.О. Волошина написані дуже легко й тонко, відрізняються великою глибиною філософської думки, поетичністю, добірністю колориту.
Спочатку на могилі М.О. Волошина був невисокий насип з морської гальки. У 1972 р. на могилу покладена меморіальна плита з написом. Автор надгробка – художник Цигаль Віктор Юхимович.
Облікова інформація:
Взято на охорону згідно рішення виконавчого комітету Кримської обласної Ради депутатів трудящих № 595 від 05.09.1969 р.
Індекс згідно паспорту: 2.5.407-2.12.21.
Охоронний № : 407.
Межі охоронної зони і зони регулювання забудови: рішенням Феодосійської міської Ради депутатів трудящих № 229 від 21 червня 1974 р. внесено пропозицію визначити охоронну зону в межах 10 м навколо могили.
Охоронна документація: охоронне зобов’язання № 407 від 02.12.1975 р.
Основна бібліографія, архівні дані:
Саркизов-Серазини И.М. По Восточному Крыму. Путеводитель.- М.,1958.
Дегтярев П.Н., Вуль P.M. У литературной карты Крыма.- Симферополь: Крым, 1965.
Полканов А.И. Судак. Историко-краеведческий очерк.- .Симферополь: Таврия, 1966.
Барсамов Н.С. Айвазовский в Крыму.- Симферополь: Крым, 1967.
Лесина Н.П. Планерское. Коктебель.- Симферополь: Крым, 1969.
Волошин М.А. Альбом акварелей.- М.: Искусство, 1970.
Ілюстративні матеріали:
Могила М.О. Волошина. Схематичний план.
Могила М.О. Волошина. Загальний вигляд.
Могила М.О. Волошина. Загальний вигляд.
